Google matrix analysis of DNA sequences
by V.Kandiah and D.L.Shepelyansky
arXiv:1301.1626[q-bio.GN]

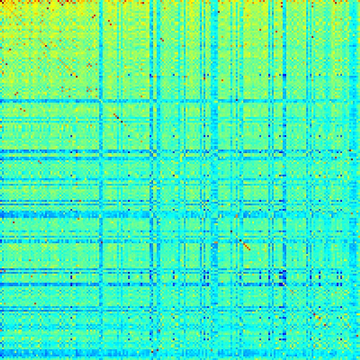
DNA Google matrix
(left: top PageRank 200 X 200
matrix elements for Homo sapiens at words of 6 letters;
right: PageRank index proximity diagram of Canis familiaris vs. Homo sapiens)
| |
Article download
(here) One DNA string of ACGT data for Bos Taurus
834 Mb (here)
One DNA string of ACGT data for Canis familiaris
724 Mb (here)
One DNA string of ACGT data for Danio rerio
421 Mb (here)
One DNA string of ACGT data for Homo sapiens
4.4 Gb (here)
One DNA string of ACGT data for
Loxodonta africana 960 Mb (here)
The above strings are generated from the
release-62 (taken from ftp://ftp.ensembl.org/pub/release-62/genbank/ of http://www.ensembl.org/) Each species string is cutted in
a few intervals stored in seperate files, the whole string is obtained
by a junction of files in order of their index growth This paper and web page should be cited
if these data are used
This webpage is created at January 9, 2013 and is maintained
|